南安市人民政府征收土地预公告(南安市学校体育场地及消防设施提升工程(南安五中)项目)
为实施南安市国民经济和社会发展规划、土地利用总体规划和城乡规划,根据《中华人民共和国土地管理法》等法律法规的规定,现发布南安市学校体育场地及消防设施提升工程(南安五中)项目征收土地预公告:
一、征收土地的范围、目的
(一)拟征地面积:2.0278公顷。
(二)征地范围:具体位置详见《南安市学校体育场地及消防设施提升工程(南安五中)用地勘测定界图》。
(三)涉及的村集体经济组织:省新镇省东村(具体以土地现状调查结果为准)。
(四)征地目的:本次征收集体土地用于南安市学校体育场地及消防设施提升工程(南安五中)项目建设,为政府组织实施的教育公共事业需要用地,符合《中华人民共和国土地管理法》第四十五条规定。
二、其他事项
拟于2021年11月15日至2021年12月15日由省新镇组织有关部门进行土地现状调查,有关单位和个人应予积极支持配合。
本公告之日起,凡在拟征收土地范围内抢栽、抢种、抢建等一律不予补偿。
本公告在征收土地涉及省新镇人民政府和省东村集体经济组织所在地予以张贴,村集体经济组织应及时将本公告内容通知被征地单位和个人。
由省新镇人民政府代表市人民政府组织实施签订补偿安置协议等土地征收法定程序。
特此公告。
南安市学校体育场地及消防设施提升工程(南安五中)用地勘测定界图

南安市人民政府征收土地预公告(泉州经济技术开发区官桥园区再生水厂项目)
为实施南安市国民经济和社会发展规划、土地利用总体规划和城乡规划,根据《中华人民共和国土地管理法》等法律法规的规定,现发布泉州经济技术开发区官桥园区再生水厂项目征收土地预公告:
一、征收土地的范围、目的
(一)拟征地面积:3.1555公顷。
(二)征地范围:具体位置详见《泉州经济技术开发区官桥园区再生水厂用地勘测定界图》。
(三)涉及的村集体经济组织:官桥镇下洋村(具体以土地现状调查结果为准)。
(四)征地目的:本次征收集体土地用于泉州经济技术开发区官桥园区再生水厂项目建设,为政府组织实施的市政公用公共事业需要用地,符合《中华人民共和国土地管理法》第四十五条规定。
二、其他事项
拟于2021年11月15日至2021年12月15日由官桥镇组织有关部门进行土地现状调查,有关单位和个人应予积极支持配合。
本公告之日起,凡在拟征收土地范围内抢栽、抢种、抢建等一律不予补偿。
本公告在征收土地涉及官桥镇人民政府和下洋村集体经济组织所在地予以张贴,村集体经济组织应及时将本公告内容通知被征地单位和个人。
由官桥镇人民政府代表市人民政府组织实施签订补偿安置协议等土地征收法定程序。
特此公告。
泉州经济技术开发区官桥园区再生水厂用地勘测定界图
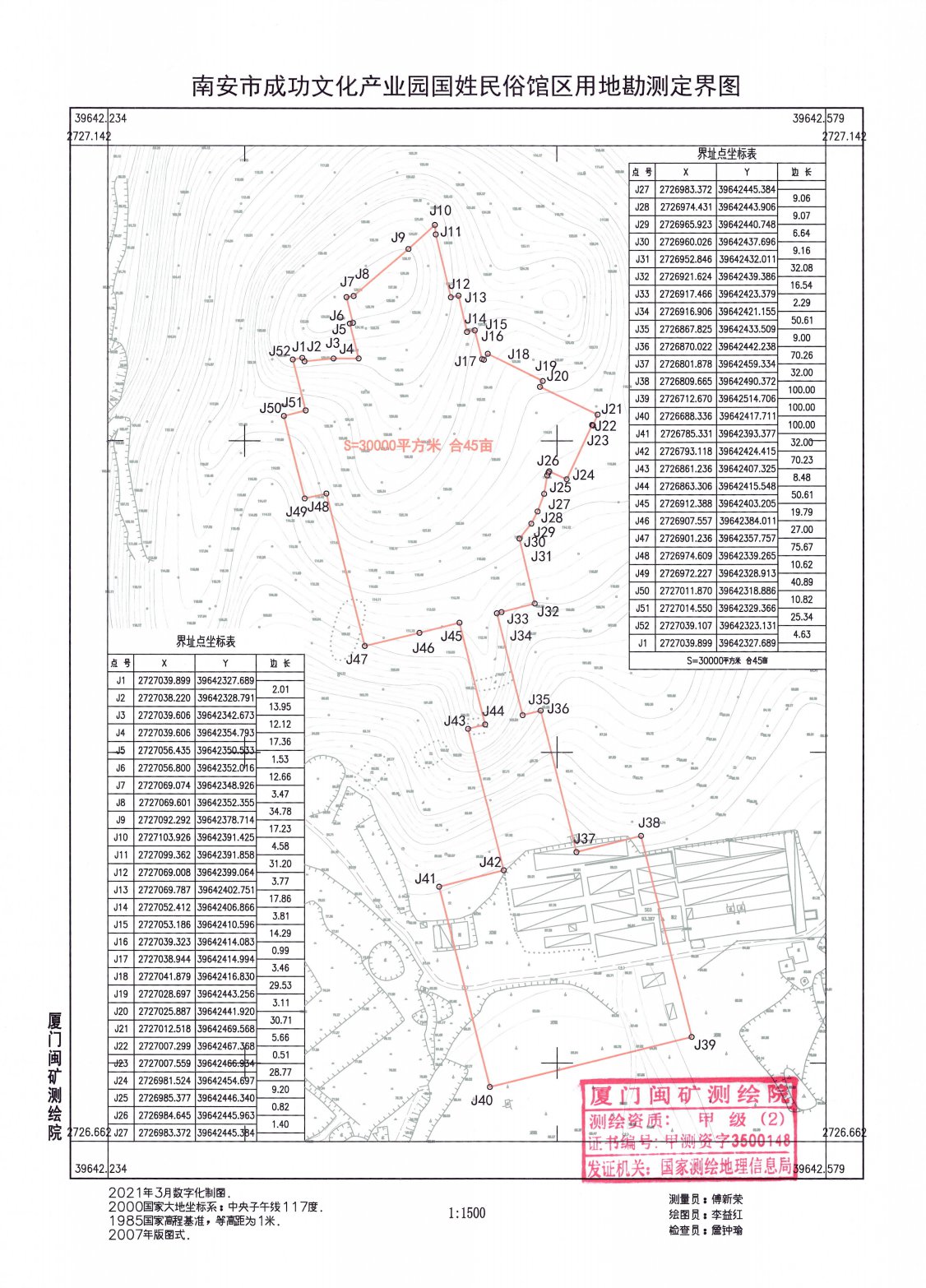
南安市人民政府征收土地预公告(南安市成功文化产业园国姓民俗馆区项目)
为实施南安市国民经济和社会发展规划、土地利用总体规划和城乡规划,根据《中华人民共和国土地管理法》等法律法规的规定,现发布南安市成功文化产业园国姓民俗馆区项目征收土地预公告:
一、征收土地的范围、目的
(一)拟征地面积:3.0000公顷。
(二)征地范围:具体位置详见《南安市成功文化产业园国姓民俗馆区用地勘测定界图》。
(三)涉及的村集体经济组织:石井镇古山村、后店村、三乡村(具体以土地现状调查结果为准)。
(四)征地目的:本次征收集体土地用于南安市成功文化产业园国姓民俗馆区项目建设,为政府组织实施的文化公共事业需要用地,符合《中华人民共和国土地管理法》第四十五条规定。
二、其他事项
拟于2021年11月15日至2021年12月15日由石井镇组织有关部门进行土地现状调查,有关单位和个人应予积极支持配合。
本公告之日起,凡在拟征收土地范围内抢栽、抢种、抢建等一律不予补偿。
本公告在征收土地涉及石井镇人民政府和古山、后店、三乡村集体经济组织所在地予以张贴,村集体经济组织应及时将本公告内容通知被征地单位和个人。
由石井镇人民政府代表市人民政府组织实施签订补偿安置协议等土地征收法定程序。
特此公告。
南安市成功文化产业园国姓民俗馆区用地勘测定界图




